![]() |
![]() |
![]() |
![]() |
![]() |
![]() |
![]() |
![]() |
![]() |
| Many Thanks to Charles A. Steger for submitting the above information on Big Arbor Cemetery and Church. |
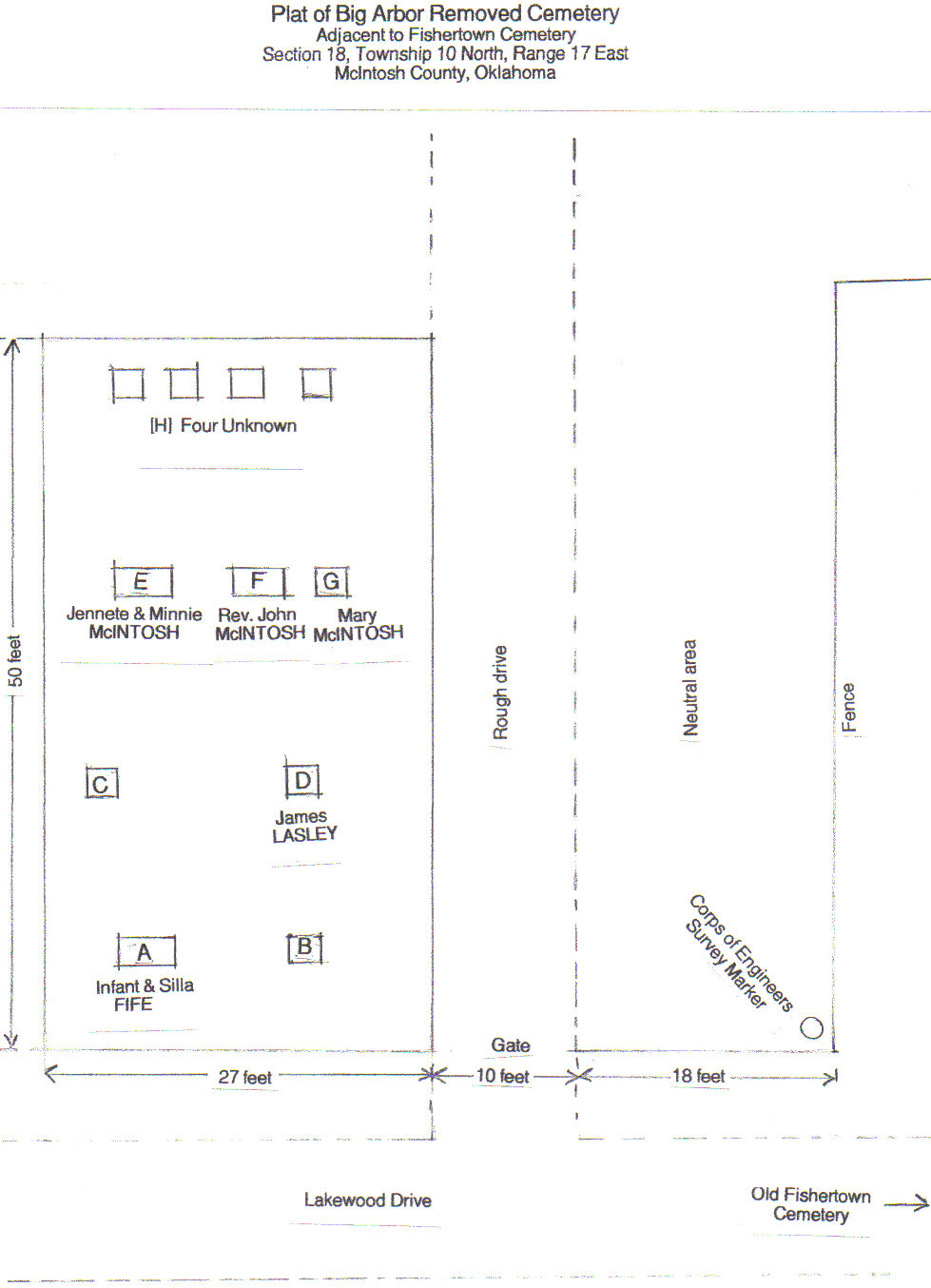
| Original Survey of Big the cemetery: |
BIG ARBOR CEMETERY (McIntosh County, Oklahoma) This cemetery was located in McIntosh County, Oklahoma, in Sec. 6, TlON, R16E. There were about six unknown graves Reinterment was made adjacent to Fishertown Cemetery in McIntosh County, Oklahoma, in Sec. 18, T10N, R17E. Fife, Baby 12 Mar 1902 17 Mar 19O2 Fife, Silla 14 Aug 1899 23 Oct 1901 Lasley, James ---- ---- Lasley, Sam (Infant) ---- ---- McIntosh, Jennete 15 Oct 1891 13 Sep 1909 McIntosh, John, Rev. 11 Aug 1833 25 Dec 1906 McIntosh, Mary ---- ---- McIntosh, Minnie 15 Feb 1894 25 Nov 1909 R. S. (Initials only) ---- ---- |
[an error occurred while processing this directive]